Agencias
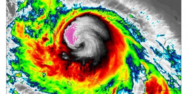
A las 19:00 horas, tiempo del centro de México, el centro del huracán Grace de categoría 2 en la escala de Saffir-Simpson, se localizó a 130 kilómetros (km) al nornoreste de Laguna Verde, Veracruz, y a 170 km al este de Tuxpan, Veracruz, con vientos máximos sostenidos de 160 kilómetros por hora (km/h), rachas de 190 km/h y movimiento hacia el oeste a 17 km/h.
Provocará lluvias puntuales torrenciales (de 150.1 a 250 milímetros [mm]) en Puebla y Veracruz; lluvias intensas (de 75.1 a 150 mm) en Chiapas, Hidalgo, Oaxaca, San Luis Potosí, Tamaulipas y Tlaxcala; muy fuertes (de 50.1 a 75 mm) en Querétaro y Tabasco, y fuertes (de 25 a 50 mm) en la Ciudad de México, Estado de México y la Península de Yucatán.
Asimismo, se prevén rachas de viento de 120 a 150 km/h y oleaje de 5 a 7 metros (m) en la costa norte de Veracruz, y de 3 a 5 m en el resto de Veracruz, Tabasco, y Tamaulipas; además de posibles trombas marinas en las costas de Campeche, Tabasco y Veracruz.
El Servicio Meteorológico Nacional (SMN), de la Comisión Nacional del Agua (Conagua), en coordinación con el Centro Nacional de Huracanes de Miami, establece zona de prevención por efectos de huracán desde el Puerto de Veracruz hasta Cabo Rojo, Veracruz, y zona de prevención por efectos de tormenta tropical desde Cabo Rojo, Veracruz, hasta Barra del Tordo, Tamaulipas.
















